VIP
SIÊU HOT – BÁN NHÀ & XƯỞNG (371M²) GÓC NGÃ TƯ ĐƯỜNG NHỰA ĐÔNG THẠNH, HÓC MÔN
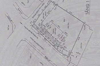
SIÊU HOT BÁN NHÀ & XƯỞNG (371M ) GÓC NGÃ TƯ ĐƯỜNG NHỰA XÃ ĐÔNG THẠNH HÓC MÔN GIẢM GIÁ SỐC Vị trí vàng: Nằm ngay góc ngã tư đường nhựa thông thoáng khu dân cư hiện hữu xe tải ra vào thoải mái thuận tiện kinh doanh sản xuất
11.5 Tỷ
Diện tích:
371 m²
Khu vực:
Hóc Môn, Hồ Chí Minh
Cập nhật:
20/11/2025
