VIP
Bán Lô Đất Tặng Nhà Mặt Tiền Hoàng Hữu Nam, Phường Tân Phú (Quận 9 Cũ), Tp Thủ Đức
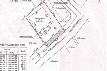
Bán Lô Đất Tặng Nhà Mặt Tiền Hoàng Hữu Nam phường Tân Phú (quận 9 cũ) TP Thủ Đức - Giá: 9.8 tỷ (thương lượng) - Nhà còn mới cho thuê TỐT - Ngay Bến Xe Miền Đông mới Bệnh viện Ung Bướu mới gần tuyến Metro ngay Ngã ba
9.8 Tỷ
Diện tích:
98 m²
Khu vực:
Quận 9, Hồ Chí Minh
Cập nhật:
21/04/2026
