Nhà Đất Alo

Bán đất Thới Tam Thôn, Hóc Môn - 110m2, Vị Trí Đẹp, Giá Tốt

Tin đăng đã hết hạn nên không còn giá trị giao dịch.
Bạn hãy sử dụng công cụ tìm kiếm để tìm những tin đăng mới nhất.

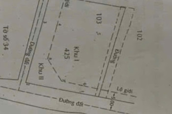
Bán lô đất Thới Tam Thôn, cách chợ Thới Tứ 200m trên đường Nguyễn Thị Sáu. Hẻm xe hơi tận đất, khu dân cư hiện hữu, tiện xây dựng ngay. Điện, nước đầy đủ. Gần chợ, trường học, công ty, quán xá, tiện ích đầy đủ trong bán kính 4km. Hỗ trợ ngân hàng lên đến 70% cho khách thiện chí. Diện tích: 5x22m (110m2), thổ cư 90m2, có SHR, sang tên ngay. Giá: 2 tỷ 586 (còn thương lượng). Liên hệ: 0345639443 để xem đất và tư vấn.
  • Bán đất Thới Tam Thôn, Hóc Môn - 110m2, Vị Trí Đẹp, Giá Tốt
  • Bán đất Thới Tam Thôn, Hóc Môn - 110m2, Vị Trí Đẹp, Giá Tốt
  • Bán đất Thới Tam Thôn, Hóc Môn - 110m2, Vị Trí Đẹp, Giá Tốt
  • Bán đất Thới Tam Thôn, Hóc Môn - 110m2, Vị Trí Đẹp, Giá Tốt
  • Bán đất Thới Tam Thôn, Hóc Môn - 110m2, Vị Trí Đẹp, Giá Tốt
  • Bán đất Thới Tam Thôn, Hóc Môn - 110m2, Vị Trí Đẹp, Giá Tốt

Bán đất Huyện Hóc Môn Hồ Chí Minh

Chủ Gửi 8 Lô Đất Hóc Môn – Mặt Tiền Đông Thạnh 7-3, Hóc Môn
VIP

Chủ Gửi 8 Lô Đất Hóc Môn – Mặt Tiền Đông Thạnh 7-3, Hóc Môn

HÀNG NÓNG CHỦ GỬI 8 LÔ ĐẤT HÓC MÔN MẶT TIỀN ĐÔNG THẠNH 7-3 GẦN NHÀ THỜ TÂN ĐÔNG CHỢ ĐÔNG THẠNH CÁCH TÔ KÝ VÀI BƯỚC GIÁ CHỈ TỪ 4.4 5.5 TỶ (GẶP CHỦ TL) DT: 81.5 105m sổ Hồng cầm tay sẵn sàng công chứng Vị trí trung
5 Tỷ
Diện tích: 100 m²
Khu vực: Hóc Môn, Hồ Chí Minh
Cập nhật: 27/12/2025
Bán Đất Mặt Tiền 25X100m  Giá 70 Tỷ Đường Phan Văn Hớn
VIP

Bán Đất Mặt Tiền 25X100m Giá 70 Tỷ Đường Phan Văn Hớn

HIẾM MẶT TIỀN PHAN VĂN HỚN VỊ TRÍ ĐẸP GIÁ TỐT Diện tích: 25m 100m Thổ cư: 250m Sổ hồng riêng xây dựng tự do Phù hợp: Mở nhà hàng khách sạn Xây building văn phòng Showroom trung tâm kinh doanh Vị trí mặt tiền lớn tiềm năng tăng giá
70 Tỷ
Diện tích: 2500 m²
Khu vực: Hóc Môn, Hồ Chí Minh
Cập nhật: 27/12/2025
Đầu Tư Để Dành – Giữ Tiền An Toàn  Mặt Tiền Đông Thạnh 7-3 – Giáp Q12
VIP

Đầu Tư Để Dành – Giữ Tiền An Toàn Mặt Tiền Đông Thạnh 7-3 – Giáp Q12

ĐẦU TƯ ĐỂ DÀNH GIỮ TIỀN AN TOÀN MẶT TIỀN ĐÔNG THẠNH 7-3 GIÁP Q12 Đông Thạnh Hóc Môn giáp Quận 12 khu vực phát triển nhanh DT 5 18m CN 84.1m đất vuông đẹp Sổ hồng riêng công chứng ngay Mặt tiền nhựa 12m khu dân cư hiện hữu
5 Tỷ
Diện tích: 84 m²
Khu vực: Hóc Môn, Hồ Chí Minh
Cập nhật: 26/12/2025
Đầu Tư Xây Nhà Bán – Nhà Phố Liền Kề Sinh Lời Nhanh
VIP

Đầu Tư Xây Nhà Bán – Nhà Phố Liền Kề Sinh Lời Nhanh

ĐẦU TƯ XÂY NHÀ BÁN NHÀ PHỐ LIỀN KỀ SINH LỜI NHANH Quỹ đất chuẩn phát triển nhà phố liền kề Đông Thạnh 7-3 Hóc Môn giáp Quận 12 DT 8.2 16.5m CN 154.5m Sổ hồng riêng công chứng ngay Mặt tiền nhựa 12m khu dân cư hiện hữu Phù
5 Tỷ
Diện tích: 84 m²
Khu vực: Hóc Môn, Hồ Chí Minh
Cập nhật: 26/12/2025
Bán Đất Mặt Tiền 10.138M Ngang 39M Giá 199 Tỷ Đường Tô Ký 12
VIP

Bán Đất Mặt Tiền 10.138M Ngang 39M Giá 199 Tỷ Đường Tô Ký 12

BÁN ĐẤT MẶT TIỀN TÔ KÝ 12 THỚI TAM THÔN HÓC MÔN Diện tích: 10.138m ( 1ha) ️ Có 246m thổ cư Vị trí đẹp: Mặt tiền ngang 39m Cách đường Tô Ký chỉ 100m Khu dân cư đông đúc thuận tiện đầu tư xây dựng Hiện trạng: Đã xây
199 Tỷ
Diện tích: 10 m²
Khu vực: Hóc Môn, Hồ Chí Minh
Cập nhật: 26/12/2025
Bán Đất Mặt Tiền 10.138M Ngang 39M Giá 199 Tỷ Đường Tô Ký 12
VIP

Bán Đất Mặt Tiền 10.138M Ngang 39M Giá 199 Tỷ Đường Tô Ký 12

BÁN ĐẤT MẶT TIỀN TÔ KÝ 12 THỚI TAM THÔN HÓC MÔN Diện tích: 10.138m ( 1ha) ️ Có 246m thổ cư Vị trí đẹp: Mặt tiền ngang 39m Cách đường Tô Ký chỉ 100m Khu dân cư đông đúc thuận tiện đầu tư xây dựng Hiện trạng: Đã xây
199 Tỷ
Diện tích: 10 m²
Khu vực: Hóc Môn, Hồ Chí Minh
Cập nhật: 26/12/2025
Bán Đất Mặt Tiền 9X32.5m Giá 25 Tỷ Đường Tô Ký
VIP

Bán Đất Mặt Tiền 9X32.5m Giá 25 Tỷ Đường Tô Ký

BÁN ĐẤT MẶT TIỀN TÔ KÝ HÓC MÔN Diện tích: 9 x 32.5m Mặt tiền đường lớn kinh doanh đa ngành: văn phòng căn hộ dịch vụ showroom Vị trí đẹp: Gần ngã tư Tô Ký Nguyễn Ảnh Thủ giáp Quận 12 kết nối nhanh Gò Vấp Tiện ích xung
25 Tỷ
Diện tích: 292 m²
Khu vực: Hóc Môn, Hồ Chí Minh
Cập nhật: 26/12/2025
Bán Đất Mặt Tiền 10.138M Ngang 39M Giá 199 Tỷ Đường Tô Ký 12
VIP

Bán Đất Mặt Tiền 10.138M Ngang 39M Giá 199 Tỷ Đường Tô Ký 12

BÁN ĐẤT MẶT TIỀN TÔ KÝ 12 THỚI TAM THÔN HÓC MÔN Diện tích: 10.138m ( 1ha) ️ Có 246m thổ cư Vị trí đẹp: Mặt tiền ngang 39m Cách đường Tô Ký chỉ 100m Khu dân cư đông đúc thuận tiện đầu tư xây dựng Hiện trạng: Đã xây
199 Tỷ
Diện tích: 10 m²
Khu vực: Hóc Môn, Hồ Chí Minh
Cập nhật: 26/12/2025
Bán Đất Mặt Tiền 25X100m  Giá 70 Tỷ Đường Phan Văn Hớn
VIP

Bán Đất Mặt Tiền 25X100m Giá 70 Tỷ Đường Phan Văn Hớn

HIẾM MẶT TIỀN PHAN VĂN HỚN VỊ TRÍ ĐẸP GIÁ TỐT Diện tích: 25m 100m Thổ cư: 250m Sổ hồng riêng xây dựng tự do Phù hợp: Mở nhà hàng khách sạn Xây building văn phòng Showroom trung tâm kinh doanh Vị trí mặt tiền lớn tiềm năng tăng giá
70 Tỷ
Diện tích: 2500 m²
Khu vực: Hóc Môn, Hồ Chí Minh
Cập nhật: 26/12/2025