Nhà Đất Alo

Bán 124m2 đất lô góc tặng nhà cấp 4 mặt tiền 23m đang cho thuê. Đường 13m khu Thạch Cầu

Tin đăng đã hết hạn nên không còn giá trị giao dịch.
Bạn hãy sử dụng công cụ tìm kiếm để tìm những tin đăng mới nhất.

Bán 124m2 đất lô góc tặng nhà cấp 4 mặt tiền 23m đang cho thuê. Đường 13m khu Thạch Cầu. 4,56 tỷ
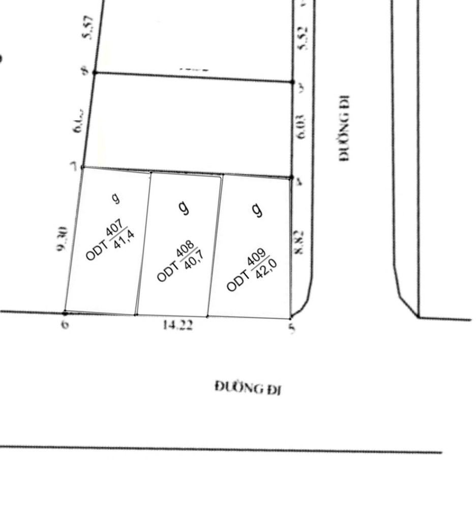
Bán 124m² đất, lô góc, tặng nhà cấp 4, điện, nước máy đầy đủ. Đang cho thuê 10 triệu/tháng; Một chiều rộng 14,2 mét (mặt đường chính, đường rộng 13 mét) và một chiều rộng 8,8 mét (mặt đường phụ, đường nhựa rộng 6 mét, hai bên có vỉa hè và đèn đường); Mặt đường Giếng Nhật, Thạch Cầu phía Giếng Nhật và khu dân cư,
Đất xen kẹt, chưa sổ, đã được kê khai ODT (đất ở đô thị), có số lô số thửa rõ ràng.
Đất cách cầu Trần Hưng Đạo 500m, cách chợ và trường mầm non Thạch cầu 100m, chỉ 8 phút là vào trung tâm phố cổ.
Rất đẹp.
Đất mua đầu tư sau xây biệt thự thì quá đẹp hoặc có thể chia nhỏ thành từ 2 đến 4 mảnh( đã tách thành 3 lô) . Cực dễ thanh khoản.
Mua cả, giá 38 triệu/m². Mua lẻ, lô góc 40 triệu /m², các lô còn lại 38 triệu/m². Đất đẹp vô cùng. Liên hệ ngay sdt 0862 012 897 kẻo hết.
  • Bán 124m2 đất lô góc tặng nhà cấp 4 mặt tiền 23m đang cho thuê. Đường 13m khu Thạch Cầu
  • Bán 124m2 đất lô góc tặng nhà cấp 4 mặt tiền 23m đang cho thuê. Đường 13m khu Thạch Cầu
  • Bán 124m2 đất lô góc tặng nhà cấp 4 mặt tiền 23m đang cho thuê. Đường 13m khu Thạch Cầu

Bán đất Quận Long Biên Hà Nội

Bán nhà Mặt phố Ô Cách. Trung tâm Việt Hưng. 66m x 4m2. Chỉ 14t còn tl
VIP

Bán nhà Mặt phố Ô Cách. Trung tâm Việt Hưng. 66m x 4m2. Chỉ 14t còn tl

Mặt phố kinh doanh sầm uất. Kv hiếm nhà bán. Chủ 100m ra mặt phố Ngô Gia Tự thông sang Hoa Lâm Lệ Mật Thông số đẹp từ diện tích đến mặt tiền. Xây toà nhà kinh doanh dtu giữ tiền Sổ cất két sẵn giao dịch Giá cực hợp
14 Tỷ
Diện tích: 66 m²
Khu vực: Long Biên, Hà Nội
Cập nhật: 02/12/2025
Đất TDC Ngọc Thuỵ 42m x 4m2 hình siêu đẹp. 2 mặt đều oto
VIP

Đất TDC Ngọc Thuỵ 42m x 4m2 hình siêu đẹp. 2 mặt đều oto

Khu vực nhiều khách tìm kiếm. Gần nhiều tiện ích cv ngọc thuỵ trường pháp sang phố gần Thông số đẹp 2 mặt thoáng sổ cất két Giá hợp lý tl trực tiếp chính chủ LH 0936123469
14 Tỷ
Diện tích: 42 m²
Khu vực: Long Biên, Hà Nội
Cập nhật: 01/12/2025
BÁN NHÀ ĐẤT 42.1M² – MẶT TIỀN 4.2M – 1 TẦNG – TDC NGỌC THỤY (TT4.09) – GIÁ 14.7 TỶ
VIP

BÁN NHÀ ĐẤT 42.1M² – MẶT TIỀN 4.2M – 1 TẦNG – TDC NGỌC THỤY (TT4.09) – GIÁ 14.7 TỶ

BÁN NHÀ ĐẤT 42.1M MẶT TIỀN 4.2M 1 TẦNG TDC NGỌC THỤY (TT4.09) GIÁ 14.7 TỶ Địa chỉ: Lô TT4.09 Khu TDC Ngọc Thụy phường Ngọc Thụy Long Biên Diện tích: 42.1m Mặt tiền: 4.2m Số tầng: 1 tầng Giá: 14.7 tỷ Mô tả chi tiết: Lô đất thuộc khu
14.7 Tỷ
Diện tích: 42 m²
Khu vực: Long Biên, Hà Nội
Cập nhật: 28/11/2025
BÁN NHÀ MỚI- ĐỆP 6 TẦNG -THANG MÁY- Ô TÔ VÀO NHÀ Ngô Gia Tự 40m2 X 11.5 Tỷ
VIP

BÁN NHÀ MỚI- ĐỆP 6 TẦNG -THANG MÁY- Ô TÔ VÀO NHÀ Ngô Gia Tự 40m2 X 11.5 Tỷ

-NHÀ ĐẸP 6 TẦNG THANG MÁY Ô TÔ VÀO NGÔ GIA TỰ 40m2 mặt tiền 5.1m 11.5 tỷ Long Biên . - Nhà nằm trong ngõ rộng ô tô vào nhà cách mặt phố Trường Lâm chỉ vài bước chân. Giao thông thuận tiện gần chợ trường học bệnh viện
11.5 Tỷ
Diện tích: 40 m²
Khu vực: Long Biên, Hà Nội
Cập nhật: 27/11/2025
Bán đất Việt Hưng, mặt phố kinh doanh 66m vuông vắn, giá chỉ 14 tỷ còn tl. LH 0936123469
VIP

Bán đất Việt Hưng, mặt phố kinh doanh 66m vuông vắn, giá chỉ 14 tỷ còn tl. LH 0936123469

Vị trí siêu đẹp: đường trước nhà oto tránh kinh doanh vỉa hè cách 100m là ra mặt phố chính Ngô Gia Tự Mảnh đất thuộc phân khúc hiếm mặt phố kinh doanh thì mảnh này đang là đẹp nhất. Đất vuông vắn diện tích 66m mặt tiền 4m2. Trước
14 Tỷ
Diện tích: 66 m²
Khu vực: Long Biên, Hà Nội
Cập nhật: 27/11/2025